Nos preocupa tu privacidad En pisos.com utilizamos cookies propias y de terceros para dar un servicio satisfactorio mediante cookies técnicas, de personalización y para fines analíticos. pulsa AQUÍ para más información. Puedes aceptar todas las cookis pulsando el botón "aceptar" o configurarlas o rechazar su uso pulsando
Aceptar Rechazar todas Configurar
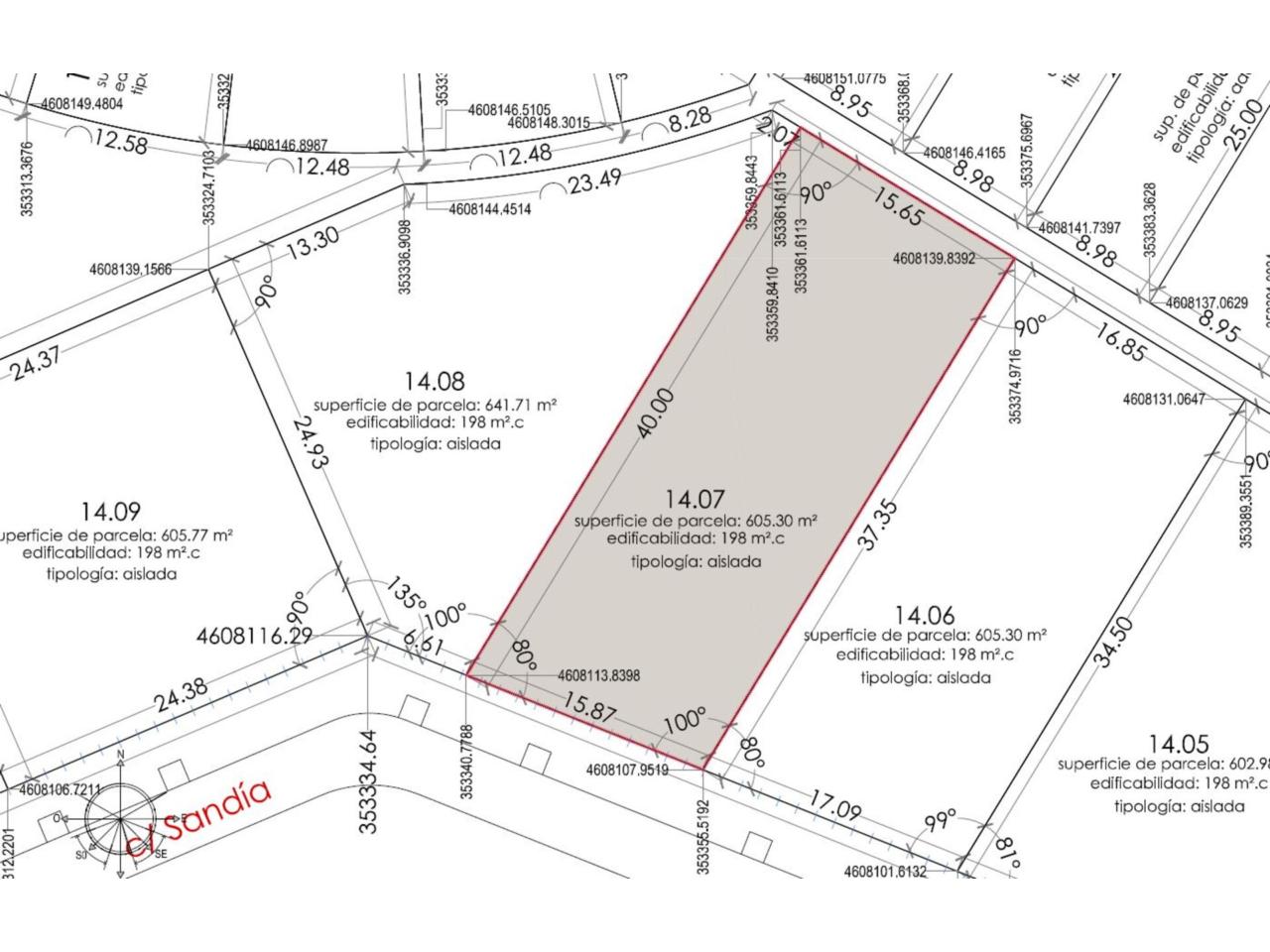
Solar de nueva construcción en venta en EL PERAL
  • 605 m2 Solar
420.000 €

Solar en venta en EL PERAL

EL PERAL (Valladolid Capital)

REF.: 103340 420.000 €
Contactar ahora
Contactar ahora 983370959
call
Llamar
email
Contactar
call
Llamar
email
Contactar
Detalles del inmueble
  • Precio 420.000 €
  • Referencia 103340
  • Dirección Calle Sandía
  • Zona EL PERAL
  • Superficie total 605 m2
  • Superficie solar 605 m2
  • Certificación energética
    Clasificación Exento
  • Descripción En venta parcela 7 de la Manzana 14 del S.APP-08 "EL PERAL". Tiene una superficie de 605.30 m2 y permite la construcción de 1 Vivienda Unifamiliar Aislada de 198 m2. Incluye Proyecto Básico para la ejecución de Vivienda de dos plantas y bodega. Ubicada en conjunto urbano de viviendas unifamiliares que cuenta con zonas comunes de ocio. Consúltenos.
Dirección

Calle Sandía
EL PERAL

Teléfono

983370959

Fax

983 371 758

Email

poniente@metroinmobiliaria.com

Formulario de contacto

Enviar

Simula tu hipoteca

Calcular